
Liersesteenweg 264
,
2590
Berlaar
Bewoonbare opp.
Bew.opp.
Perceelopp.
Perceel
Vraagprijs
Vraagprijs
EPC
EPC
Slaapkamers
Slaapkamer
Kamers
Badkamers
Badkamer
Badk.
Ruimte om te bouwen, een zicht om van te dromen.
Prachtig perceel bouwgrond met een ideale bouwbreedte en een weids, open uitzicht over de Netevallei.
Deze grond is uiterst gunstig gelegen, op slechts 2 minuten van Berlaar en 5 minuten van Lier, waardoor je geniet van een rustige omgeving met alle voorzieningen binnen handbereik.
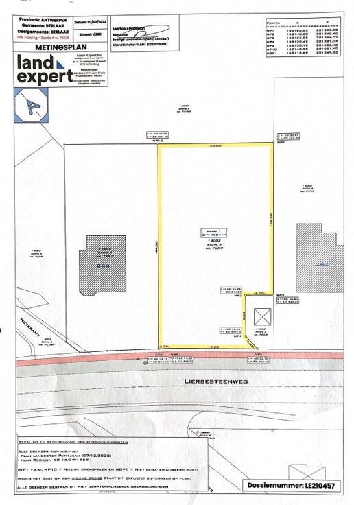
Het perceel heeft een oppervlakte van 1.034 m², met een straatbreedte van 25 meter en een diepte van 44 meter — perfect voor het realiseren van jouw droomwoning.
De omgevingsvergunning voor verkaveling werd reeds afgeleverd. De bijhorende bouwvoorschriften kan je opvragen via ons kantoor.
Gunstige en rustige locatie.
Straatbreedte 25m.
Open en weids zicht.


Type | Bouwgrond |
Eigenschap | |
Bewoonbare opp. | 0 m² |
Bouwopp. | 0 m² |
Perceelopp. | 1034 m² |
Bouwjaar | |
Renovatiejaar | |
Vraagprijs | € 260000 Op aanvraag |
Garage | Nee |
Tuin/terras | Nee |
Parkeerplaatsen | 0 |
Elektrische keuring | Nee |
EPC-Certificaat | |
Asbest | |
Grondplannen | Ja Nee |
Bestemming | |
Bouwvergunning | |
Verkavelingsvergunning | Ja |
Beschermd erfgoed | Nee |
Dagvaarding uitgebracht | |
Voorkooprecht | Nee |
Overstromingsgevoeligheid | Geen |
P-Score | A |
G-Score | A |
Kadastraal inkomen | € 0 |
Alg. vaste kosten | € 0 N.v.t. N.v.t. |
EPC | kWh/m² |
Verwarming | |
Beglazing |
Aantal slpk. | 0 |
Aantal badkamers | 0 |
Overdracht | |
Oriëntatie | Noordoost |
Zwembad | Nee |
Open zicht | |
Zeezicht |
Heb je interesse om deze instapklare woning met eigen ogen te ontdekken? Neem dan vandaag nog contact met ons op en plan jouw bezoek in!